Terreno Venta

37921

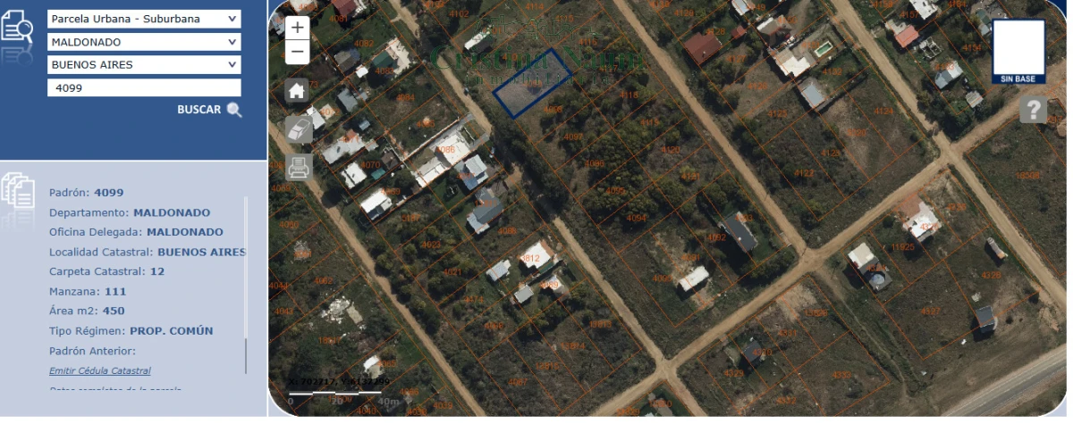
Balneario Buenos Aires, Manantiales, Maldonado

Apto para PH:

Superficie

450 m2
  • Venta USD 60,000

Terreno en Balneario Buenos Aires

Terreno de 450 m2

Cristina Naum Inmobiliaria
Consulte con nuestros asesores!

Características

  • Distancia al Mar: 50mts

Ubicación de la Propiedad